Exhibit 10.25
FOURTH AMENDMENT TO STANDARD INDUSTRIAL/COMERCIAL MULTI-TENANT LEASE - GROSS
THIS FOURTH AMENDMENT TO STANDARD INDUSTRIAL/COMERCIAL MULTI-TENANT LEASE - GROSS is made and entered into at Santa Maria, California dated the 29th day of March, 2024, for reference purposes only, by and between Columbia Business Center Partners L.P., a California limited partnership (“Lessor”), and Amass Brands Inc. DBA Amass Brands Group (“Lessee”), with reference to the following facts:
| A. | Lessor (or Lessor’s predecessor in interest) and Lessee’s predecessor-in-interest previously entered into that certain Standard Industrial/Commercial Multi-Tenant Lease - Gross, dated May 15, 2019, for reference purposes only, regarding that certain Premises, located at 860 E. Stowell Road, Santa Maria, CA 93454, as it was amended by that certain First Amendment to Standard Industrial/Commercial Multi-Tenant Lease-Gross, dated September 10, 2020, that certain Second Amendment to Standard Industrial/Commercial Multi-Tenant Lease - Gross, dated March 20, 2021, and that certain Third Amendment to Standard Industrial/Commercial Multi-Tenant Lease - Gross, dated August 20, 2021 (collectively, the “Lease”); |
| B. | Lessee purchased assets of BWSC, LLC, a California limited liability company, was the assignee of the leasehold interest in the Premises in that transaction and is now the “Lessee” under the Lease for all purposes. |
| C. | The Lease Term currently expires on December 31, 2024, however, in accordance with the Third Amendment, if neither party notifies the other by March 31, 2024 that the Lease is terminating effective December 31, 2024, the Term will be extended through December 31, 2025; |
| D. | The size of the Premises is currently 72,244 sf at the following addresses: 860 and 862 E. Stowell Road, Santa Maria, CA 93454 and Lessee is currently paying a monthly Base Rent of $48,930. |
| E. | Lessee has requested that Lessor reduce the amount of space contained in the Lease Premises and Lessor is agreeable to reducing the amount of space contained in the Lease Premises in accordance with the terms and conditions of this Fourth Amendment. |
NOW, THEREFORE, in consideration of the premises, promises and covenants herein contained, the parties agree as follows:
| 1. | Capitalized Terms. Except as to those capitalized terms specifically defined herein, all capitalized terms shall be as provided in the Lease. |
| 2. | Premises. |
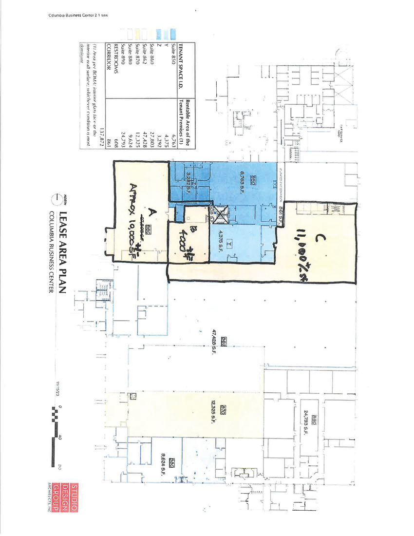
| a. | Lessor will promptly use commercially reasonable efforts to find one or more tenants to rent portions of the Premises in place of Lessee, up to a total maximum of approximately 25,000 - 27,000 sf of the Premises. This approximately 25,000 - 27,000 sf portion of the Premises is depicted on the Exhibit attached hereto and is divided into three (3) sections denoted as “A,” “B,” and “C.” Lessee acknowledges that (i) these depictions are only examples and approximations of the portions that Lessor could rent to other tenants, and (ii) the exact dimensions of any portion of the Premises rented to other tenants will only be determined at the time a lease with a new tenant is executed by Lessor. |
| b. | In the event Lessor finds a tenant that will rent a portion of the Premises, Lessor will notify Lessee in writing at least 15 days prior to the date that the replacement tenant is scheduled to take possession and Lessee will cooperate with Lessor to surrender the portion of the Premises being rented to a new tenant on or before two days prior to the date that the new tenant is scheduled to take possession. With regard to the portion of the Premises re-leased to other tenants, Lessee’s assigned number of parking spaces shall be reduced effective as of the date that the new tenant takes possession of the applicable portion of the Premises. |
| c. | Notwithstanding that Lessee has surrendered possession of a portion of the Premises in order that a replacement tenant could take possession of such portion of the Premises, except as provided in section d. below, Lessee shall be required to continue paying Base Rent with regard to such portion of the Premises until the earlier of: (i) the date the new tenant commences paying Base Rent on such portion of the Premises; or (ii) sixty (60) days after the new tenant takes possession of the such portion of the Premises. |
| d. | If by December 31, 2024, Lessor has not re-leased any of the Premises to other tenants, Lessor agrees to reduce the size of the Premises, commencing on January 1, 2025, by approximately 14,000 sf with a proportionate reduction in monthly Base Rent (but still subject to Rent Adjustment, as provided in the Lease) and a proportionate reduction in parking spaces allocated to the Premises. In such event, Lessee shall surrender this approximately 14,000 sf of space broom clean on or before the close of business on December 31, 2024. Strictly as an example, if on January 1, 2025, the Premises is reduced in size by exactly 14,000 sf in accordance with this section d., then: |
| i. | The size of the Premises would be 58,244 sf or 80.62% the size of the Premises on December 31, 2024 |
| ii. | Assuming that the Base Rent Adjustment which is scheduled to occur on January 1, 2025 is 3%, the Base Rent effective January 1, 2025 will = ($48,930 x 80.62%) = $39,448 x Base Rent Adjustment 103% = $40,631 per month. |
| e. | If by December 31, 2024, Lessor has re-leased a portion of the Premises to other tenants, the required square footage reduction of the Premises described in Section d. above shall be reduced by the amount of square footage actually re-leased (but not below zero). |
| f. | Lessor is entitled to reasonably determine the configuration of the Premises after any reduction of the Premises, in order to maximize Lessor’s ability to re-lease the portion of the Premises being eliminated from the Premises. |
| g. | At Lessor’s option, Lessor shall demise the Premises from any other premises in the Building by either a chain link fence or a solid wall. Lessee shall cooperate with Lessor’s installation of a demising wall, including cooperation with reasonable intrusion into the Premises during construction of such a wall. There shall be no abatement of Base Rent for any such intrusion. In no event during any such installation shall Lessor materially obstruct Lessee’s access for ingress and egress to and from the Premises, |
| 2 |
| h. | At the time that Lessee relinquishes any portion of the area marked “A” on the attached Exhibit, Lessee shall relinquish the address at 860 E. Stowell Rd and shall retain only the address of 862 E. Stowell Rd. |
| 3. | Automatic Extension of Lease Term. The expiration of the Lease Term shall hereby be extended until December 31, 2025. Notwithstanding the preceding, in the event either party does not notify the other in writing (“Termination Notification”) on or before March 31, 2025, confirming that the Lease shall expire on December 31, 2025, the Lease Term shall automatically and immediately be extended through December 31, 2026. Thereafter, in the event one party does not give the Termination Notice on or before March 31 of each ensuing calendar year, the Lease Term shall automatically and immediately be extended through December 31 of the following calendar year. For example, if the Lease Term has been previously extended through December 31, 2026 and Lessee does not give the Termination Notice on or before March 31, 2026, the Lease Term shall automatically and immediately be extended through December 31, 2027. |
| 4. | Supersession. The terms and provisions of this Third Amendment shall prevail over any contrary terms of the existing Lease, as amended. Except as specifically modified hereunder, the Lease remains unmodified and in full force and effect. |
ENTERED INTO at Santa Maria, California, effective on the date first above written.
| “LESSOR” | “LESSEE” | |
Columbia Business Center Partners L.P., A California limited partnership |
AMASS BRANDS INC. |
| By: | Columbia Business Center, Inc. | By: | /s/ ERIN K. GREEN | |
| A California corporation | ||||
| Name: | ERIN K. GREEN | |||
| By: | /s/ Robin L. Rossi | |||
| Robin L. Rossi, President | Title: | COO |
| 3 |